Sign up to get new listings emailed daily! JOIN SIGN IN
Gilda Krantz-Smith
Tulsa Ok and Surrounding Communities
REALTOR®
Cell: (918) 808-0224
Facebook Icon YouTube Icon Pinterest Icon LinkTree Icon VCard Icon 
Refine Search

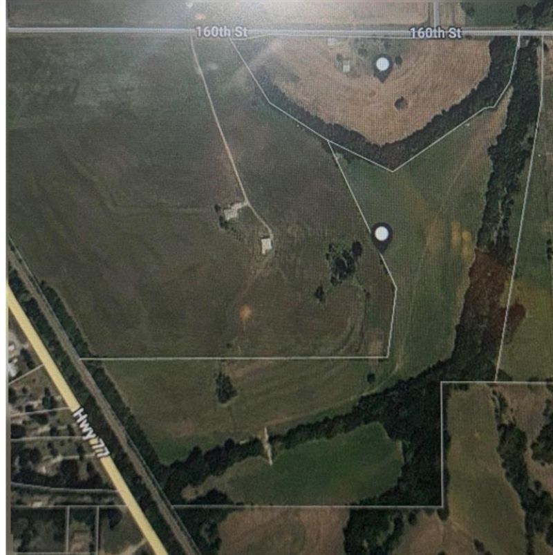
29594 S 160th Street, Wayne, OK 73095

$300,000
  • 29594 S 160th Street, Wayne, OK 73095 Main Photo

18 Total Photos [Click to View All]

Active
LOT SIZE 60.230 acres MLS#1216999
STATUSActive PROPERTY TYPELand - Farm SCHOOLWayne

Property Description

This property has it all! If you like riding ATVs and dirt bikes, hunting, farming and even shooting this property is for you. The property is surrounded by a creek. There are eight hilltop acres that are not in a flood zone, so you can build your home on the hill overlooking your beautiful acreage. Use the shooting range for target practice but when it's deer season hunt in your own backyard. The owner has two ATVs that he plans to leave. The shooting range will stay. When looking at the land you will find fencing poles on both sides of the road , those just mark holes he didn't want to drive in. The land sits between two creeks and crosses over to the south side by crossing the creek on the right. Land produces about 180 bales of Johnson grass a season. It's very private, run around outside make private. No HOA!!

29594 S 160th Street | MLS# 1216999

This land located at 29594 S 160th Street, Wayne, OK 73095 is currently listed for sale with an asking price of $300,000. The property has approximately 60.23 Acres. S 160th Street is located within the Wayne school district. Search Wayne real estate on gkrantzsmith.ccoklahoma.com today.

Property Features

Property Type: Land - Farm
Lot Size: 60.23 Acres
Taxes: $138

Feature Descriptions

Days on Site: 50
Fencing: Other
Flood Plain: 1
Lot: Pasture
Water: Rural

Local Schools

High School: Wayne HS
Middle School: Wayne MS
Elementary School: Wayne ES
School District: Wayne

Listed By / Shown By

Listed By

Agency Name: Metro First Realty
Agency Phone: 405-242-4004
Agent Name: Vicky Ide

agent picture

Shown By

Agent Name: Gilda Krantz-Smith
Agent Phone: Cell: (918) 808-0224
Agency Title: Chinowth & Cohen

IDX logo

Estimate Your Payment

Estimated Payment

$ 766.67 per month $667.67 Principal & Interest $11.50 Property Tax $87.50 Homeowner's Insurance

Change Payment Information

%
years/fixed
yearly
yearly (est.)
(Payments are an estimate and may vary by lender)
Disclaimer: All information deemed reliable but not guaranteed. All properties are subject to prior sale, change or withdrawal. Neither listing broker(s) or information provider(s) shall be responsible for any typographical errors, misinformation, misprints and shall be held totally harmless. Listing(s) information is provided for consumers personal, non-commercial use and may not be used for any purpose other than to identify prospective properties consumers may be interested in purchasing. Information on this site was last updated 04/25/2026. The listing information on this page last changed on 04/25/2026. The data relating to real estate for sale on this website comes in part from the Internet Data Exchange program of Delta Media Group MLS (last updated Sat 04/25/2026 12:02:17 AM EST) or Stellar MLS (last updated Fri 04/24/2026 11:44:50 PM EST) or NORES MLS (last updated Fri 04/24/2026 11:29:33 PM EST) or MLSOK (last updated Fri 04/24/2026 11:28:19 PM EST) or Stillwater MLS (last updated Fri 04/24/2026 11:59:23 PM EST). Real estate listings held by brokerage firms other than Chinowth & Cohen may be marked with the Internet Data Exchange logo and detailed information about those properties will include the name of the listing broker(s) when required by the MLS. All rights reserved.

Listing data compilation and photo(s) © 2026 MLSOK, Inc. We do not attempt to verify the currency, completeness, accuracy, or authenticity of the data contained herein. Information is subject to transcription and transmission errors and is provided “as is”. All information, including but not limited to property square footage and lot size, zoning, and fitness for a particular purpose is subject to inaccuracies and should be independently verified through personal inspection and/or consultation with appropriate professionals. The listing information provided is for consumers’ personal, non-commercial use and may not be used for any purpose other than to identify prospective purchasers. This data is copyrighted and may not be transmitted, retransmitted, copied, framed, repurposed, or altered in any way for any other site, individual and/or purpose without the express written permission of MLSOK, Inc.

Privacy Policy / DMCA Notice / ADA Accessibility

Login to My Homefinder

Pixel